
El Niño, ese evento de calentamiento de las aguas superficiales de la zona ecuatorial del Pacífico central-oriental que comenzó a mediados de este año 2023, sigue estando presente.

El cometa Halley fue el primero que se predijo que regresaría a los cielos de la Tierra.

¿Es que acaso una vuelta de La Tierra sobre su eje no dura 24 horas, como siempre nos han dicho?

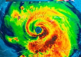
La Temporada Ciclónica del 2023 cierra quedando solo un nombre de la lista por cubrir, aunque podría haberlo hecho

Si a muchas personas le preguntaran a qué se debieron estas lluvias, habrá quienes responderán que a una vaguada, quizás unos pocos, pero habrá otros que dirán que se debió a un “Potencial Ciclón Tropical 22”, o a los resto de, o bien, al mismo “Potencial Ciclón Tropical 22”, pero ya en disipación.

Existen determinadas reglas que han sido establecidas por los cuerpos de expertos en ciclones tropicales constituidos por la Organización Meteorológica Mundial (OMM) en todas las ciencias oceánicas donde se forman ciclones tropicales