En esta segunda parte del artículo mostramos otros detalles interesantes que nos servirán para realizar una justa valoración de la Temporada ciclónica del 2022.
Analizamos lo ocurrido este año en la actual temporada ciclónica
La Naturaleza se olvida del almanaque, se olvida de “normas”, tales como la fecha de inicio y final de una Temporada ciclónica, y entonces pueden ocurrir cosas insólitas
Aunque una erupción de un volcán, en particular, puede en unas pocas horas emitir una cantidad increíblemente alta de dióxido de carbono a la atmósfera, lo hace por muy poco tiempo.
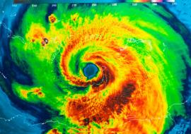
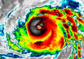
Dos huracanes se desarrollaron ya entrado el mes, como fueron Lisa y Martin, y también, tenemos al Huracán Nicole, que acaba de cruzar por el Norte de Las Bahamas
Terminado el verano y el horario que lleva su nombre, vuelve a implantarse en varios países el horario normal del meridiano que le corresponda con un cambio de hora en este mes de noviembre




